Drax Power Station Still Burning Rare Forest Wood
Drax power company, which has received £6bn in U.K. green subsidies, has kept burning wood from some of the world’s most precious forests, a BBC investigation has found.
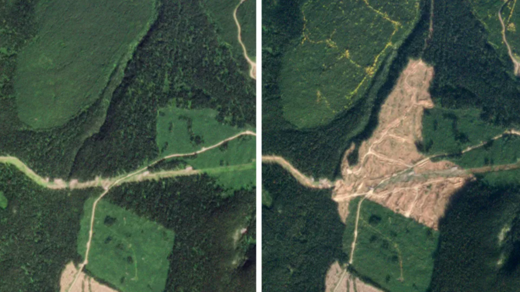
Papers obtained by Panorama show Drax took timber from rare forests in Canada it had claimed were “no go areas”.
It comes as the Government decides whether to give the firm’s Yorkshire site billions more in environmental subsidies funded by energy bill payers.
Drax says its wood pellets are “sustainable and legally harvested”.
The Drax Power Station, near Selby in North Yorkshire, is a converted coal plant which burns wood pellets. In 2023, it produced about 5% of the U.K.’s electricity. The site has become a key part of the Government’s drive to meet its climate targets.
Its owner, Drax, receives money from energy bill payers because the electricity produced from burning pellets is classified as renewable and treated as emission-free.
In fact, the power station emits about 12 million tonnes of carbon a year, but under international rules the U.K. doesn’t have to count these emissions.
All of the 6.5 million tonnes of wood pellets burned by Drax each year are produced overseas. Many come from Drax’s 17 pellet plants in the U.S. and Canada.
In 2022, Panorama revealed the company had obtained logging licences in the Canadian province of British Columbia and filmed logs being taken from what the programme said was primary forest to a pellet plant owned by Drax.
Primary forests are natural forests that have not been significantly disturbed by human activity.
Following the BBC investigation, Drax denied taking wood from primary forests but said it would not apply for further logging licences in the province.
However, the company still takes whole logs from forests that have been cut down by timber companies.
Panorama has obtained documents from British Columbia’s Ministry of Forests that show the company took more than 40,000 tonnes of wood from so-called ‘old-growth’ forests in 2023.
Old-growth is some of the oldest forest which the provincial Government says provides “unique habitats, structures and ecological functions”.

Worth reading in full.
To join in with the discussion please make a donation to The Daily Sceptic.
Profanity and abuse will be removed and may lead to a permanent ban.
So what’s next? Whale blubber? Cause if you’re going to say “peat”, I’mma gonna fight you. I ain’t letting you anywhere near my whiskey supply!
Aren’t you all glad we stopped mining coal and oil?
“Its owner, Drax, receives money from energy bill payers because the electricity produced from burning pellets is classified as renewable and treated as emission-free. In fact, the power station emits about 12 million tonnes of carbon a year, but under international rules the U.K. doesn’t have to count these emissions. All of the 6.5 million tonnes of wood pellets burned by Drax each year are produced overseas. Many come from Drax’s 17 pellet plants in the U.S. and Canada.” Well these three paras say it all. Para 1 electricity produced from burning pellets is classified as renewable and treated as emission-free. Why can’t electricity produced from burning coal, gas and oil be treated as renewable? They are equally renewable because we mine these as needed. The emissions output per ton will show little differences. Para 2 we will make up some new British laws which will allow us not to count emissions from coal, oil and gas. Para 3 there is nothing particularly eco friendly about transporting thousands of tons of rare wood pellets thousands of miles across the globe and burning diesel to do so when coal, oil and gas is available on our doorstep. It occurs to me… Read more »
Also oil, coal and gas are bio fuels as they are made from bio mass, therefore they are green.
Very true, it’s just that the carbon cycle is longer for coal and oil, but it does renew itself constantly over time, ergo, renewable!
All solar power, after all.
Burning wood emits more carbon dioxide than burning coal. A 2012 study by Synapse Energy Economics estimated that a typical smokestack of a biomass plant emitted about 1.67 tons of CO2 per megawatt-hour of electricity generated, or 50 to 85 percent more than emissions from a coal-fired plant. The carbon dioxide emissions from a biomass plant exceed triple the CO2 emissions from a natural gas plant.
Goreham, Steve. Green Breakdown: The Coming Renewable Energy Failure (pp. 190-191). New Lenox Books. Kindle Edition.
It’s all just a ridiculous joke, except it’s clearly not!
Thanks kev.👍
You’re very welcome.
In addition, to make matters worse woodchip has about half the calorific value of coal. So to get the same out requires twice as much “fuel”, and emits 100 to 170% more of the “deadly” CO2. You really couldn’t make this up! But the US EPA and EU/UK equivalents declare wood as emissions free, unless WE burn wood in a wood burner.
So, if they are really concerned about CO2 then switching to gas has to be the cleanest option by far, but coal is way better as long as you remove particulates. Also plant trees or other plants, cutting them down can hardly help in their insane deluded world.
Seventeen trains, with 28 cars each, bring 20,000 tons of wood pellets to Drax each day. From Hull (East Coast not West), my home town.
“but coal is way better as long as you remove particulates” –TRUE. —–But it isn’t really particulates the planet savers are concerned about. They are not concerned about our lungs. You never hear them say we must get rid of coal because of particulates. They say they want rid of it because “We must fight climate change”
Yes The Steve Goreham book is another one I have read. In fact I have read most stuff critical of the narrative and can recommend probably 50 books right now on this issue
And the pellets are imported on oil fired ships, then on diesel powered trains, to Drax; no doubt there is still a bit of coal underground locally near the power station. Quite likely that the gross output of emissions is worse than it was before, except for the renewable sleight of hand.
“The site (Drax) has become a key part of the Government’s drive to meet its climate targets.”
The Government’s targets? Who decided that these were the Government’s targets and what about the UK citizen’s requirements?
Whatever the mysterious “climate targets” are they are doing nothing to assist government targets.
Wood is being burnt and in order to burn it it is transported thousands of miles and burning ‘fossil fuels’ to get it here.
We are being lied to or as the fact checkers would put it – being fed misinformation.
A Drax target met is simply another country’s emissions.
As Fishy would know.
They are the UN’s targets. ——My target is to have affordable reliable energy, and that can only come from coal oil and gas. That is what gave us the prosperity that our UN lackey governments are now taking away.
What are they bleating about? Isn’t Billy Gates planning on cutting down a bunch of trees to bury underground as carbon offset? If its burnt at Drax instead and the carbon dioxide is not counted – and we can keep the lights on for a bit longer – what’s the problem? Or is that just pointing out the total fallacy of their polycrisis propaganda?
Oops, link:
https://www.forbes.com/sites/christopherhelman/2023/07/28/chop-down-forests-to-save-the-planet-maybe-not-as-crazy-as-it-sounds/
Love it.
Companies burn wood at the behest of the government – good. Individuals burn wood in their homes to keep warm – bad. Make it make sense, please!
Don’t you know that Drax (sounds like a James Bond novel by the way) is “Carbon Neutral”.
So there.
Drax, sat on a huge high quality coalfield – but imports “carbon neutral”, Christ, wood pellets – cut down, transported from the good old USA, ,manufactured, dried and then burnt at Drax.
And that’s carbon neutral?
God give me strength.
Cost of Electricity per Kwh –
USA- 10p.
China – 6p.
UK – er, 30p.
And we buy Chinese crap made with energy largely produced from COAL!!
Idiots.
Aren’t we well served by our politicians…
The UK has a population of 67 million and 39 million middle class, powered by :
3 coal fired power stations (soon to be 1 and then none)
32 gas fired power stations
8 nuclear power stations
..and some renewables.
+ 16% of power from France, Holland and Belgium
China has a population is 1,400 million (1.4 billion) and 700 million middle class, powered by:
1082 coal fired power stations (200+ planned),
50 nuclear power stations
and a lot of hydro and some renewables.
God help us , so it’s still emitting but it’s ok it’s not counted ! Hypocrisy on steroid’s 🤯🤯🤯
Yup, and the ONS are no longer counting excess deaths so it’s celebrations all round.
“celebrations all round.”
Pedant that I am it’s “Trebles all round.”
Fair point Hux, that does seem more realistic.
“Trebles all round.”
It’s a Private Eye catchphrase which has gained almost legendary status.
And we’re back to a nice peaty single malt that Cristi.Neagu suggested at the start of the posts!
hows that for a circular economy?Yummy 😋 !
When Drax first started burning pellets, several years ago, the govt released a carbon calculator that showed that harvesting, processing and transportation made up about 50% of the emissions that would have been produced by burning coal to provide the same amount of energy – even before a single pellet had been burned.
“treated as emission free” —ha ha ha jeez. ——–This is like classing anything stolen by shoplifters under 50 quid as not a crime. ——-They bring the bloody pellets all the way across the Atlantic then burn them. Only in the fantasy pretend to save the planet eco socialist world of Green Hypocrisy is this “emission free”. —-Every time I hear some pratt hand wringer use the world “sustainable” I want to vomit.
Worth re-watching Michael Moore’s Planet of the Humans – about 54 minutes in for wood pellet madness, I think.
https://www.youtube.com/watch?v=Zk11vI-7czE
MY local paper which has really just become a Party Political Broadcast for the Green Party last week were telling readers that pot holes are not the councils fault. They are apparently the peoples fault because the pot holes are being caused by “extreme weather” as result of climate change caused by us. —-This week they are telling us all to leave our washing machines off or use cold water for the wash during peak times. They even praise energy companies for giving those who reduce energy during peak times a little financial reward. —-But why would we want to do that? Because as we rely more and more on wind base load cannot be guaranteed. If you rely on the weather for electricity then when that weather (wind and sun) does not provide any electricity, then guess what? —-Yes you got it —-No electricity. ——–Everywhere with Green ideology you see nothing but absurdity and hypocrisy. ——This article about wood pellets is another classic example of the insanity where CO2 from wood is good but CO2 from coal is bad. As if the planet would decide not to warm up if it knows where the CO2 came from.